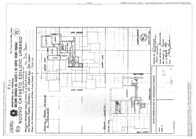
Appartamento in vendita Via del Porto 30, Carmagnola
Salva
Casa.it
1/20
  • Street View
  • Map