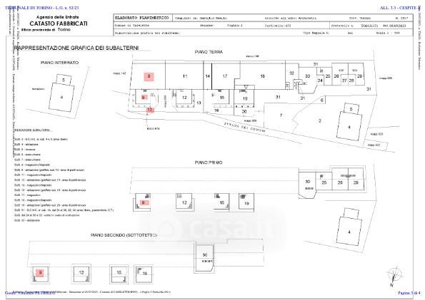
Appartamento in vendita Strada dei comuni 2, Caselette
Salva
Casa.it
1/19
  • Street View
  • Map