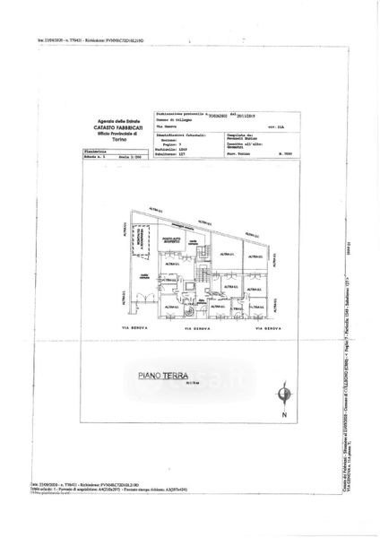
Appartamento in vendita Via Genova 11, Collegno
Salva
Casa.it
1/38
  • Street View
  • Map