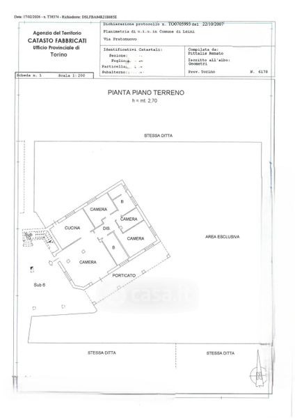
Appartamento in vendita Via Prato Nuovo , Leini
Salva
Casa.it
1/50
  • Street View
  • Map