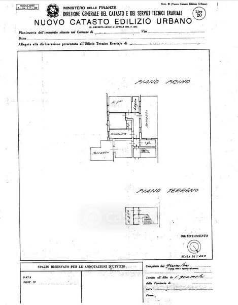
Appartamento in vendita Via Pisa 10, Rivoli
Salva
Casa.it
1/27
  • Street View
  • Map