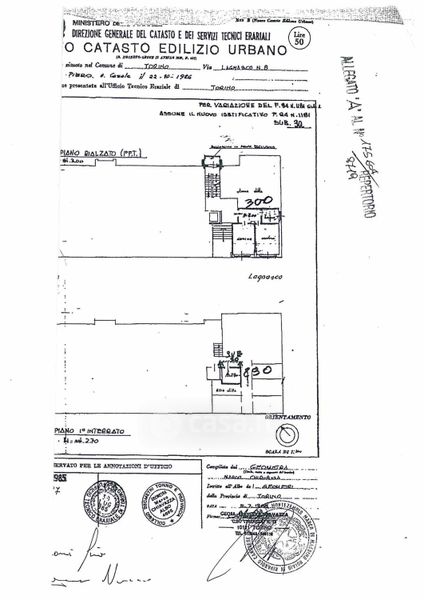
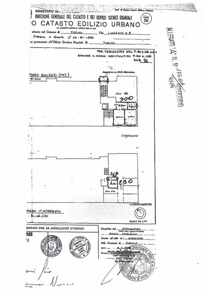
Appartamento in vendita Via Lagnasco 8, Torino
Salva
Casa.it
1/24
  • Street View
  • Map