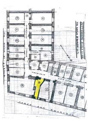
Appartamento in vendita Via Giulia di Barolo 7, Torino
Salva
Casa.it
1/47
  • Street View
  • Map