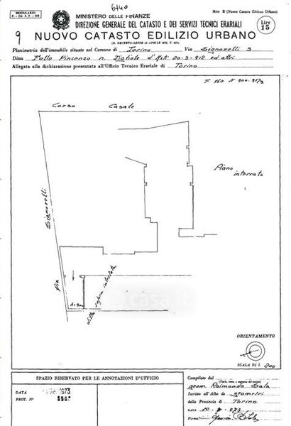
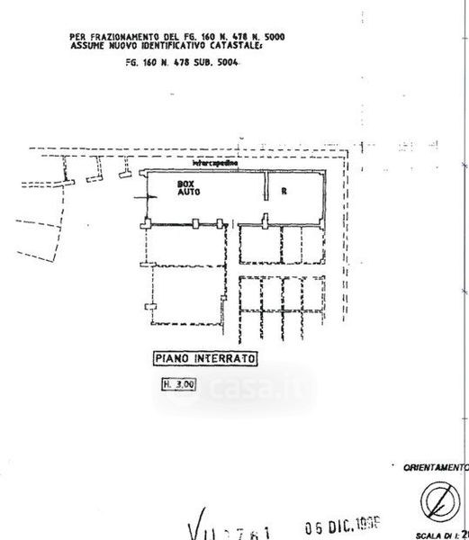
Appartamento in vendita Via Luca Signorelli , Torino
Salva
Casa.it
1/56
  • Street View
  • Map