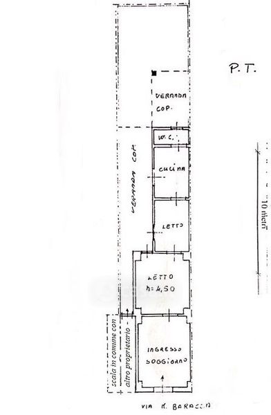
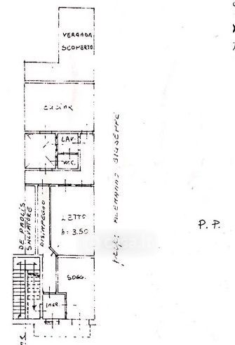
Appartamento in vendita Via Maggiore Baracca , Copertino
Salva
Casa.it
1/29
  • Street View
  • Map