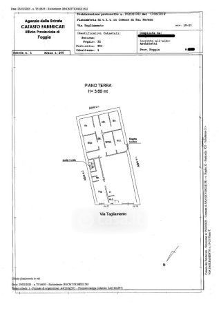
Appartamento in vendita Via Tagliamento 19, San Severo
Salva
Casa.it
1/19
  • Street View
  • Map