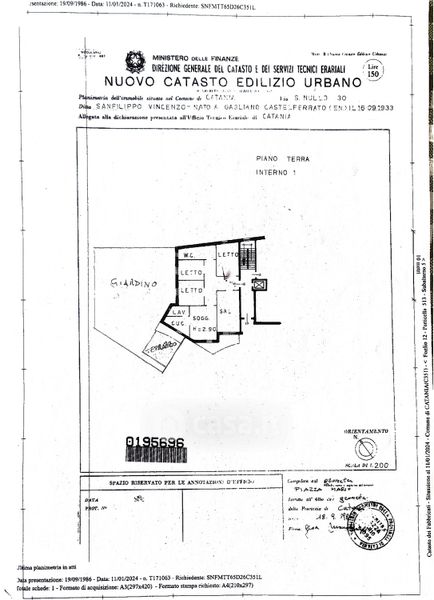
Appartamento in vendita Via San Nullo 30, Catania
Salva
Casa.it
1/12
  • Street View
  • Map