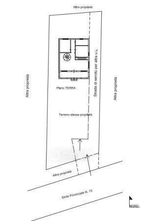
Appartamento in vendita Strada Provinciale 15 , Paternò
Salva
Casa.it
1/19
  • Street View
  • Map