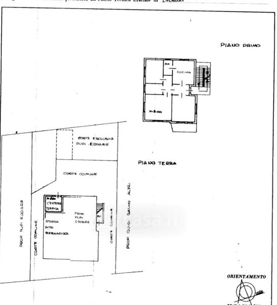
Appartamento in vendita Via Vincenzo Bellini 2 A, Campiglia Marittima
Salva
Casa.it
1/10
  • Street View
  • Map