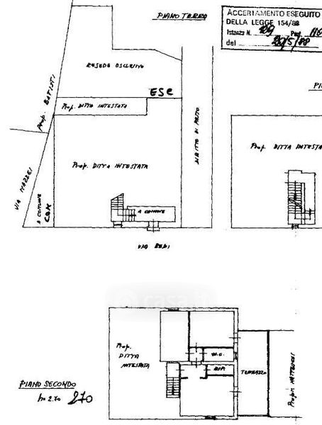
Appartamento in vendita Via Francesco Redi , Carmignano
Salva
Casa.it
1/12
  • Street View
  • Map