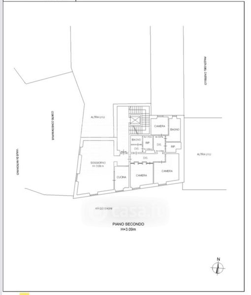
Appartamento in vendita Viale di Antignano , Livorno
Salva
Casa.it
1/23
  • Street View
  • Map