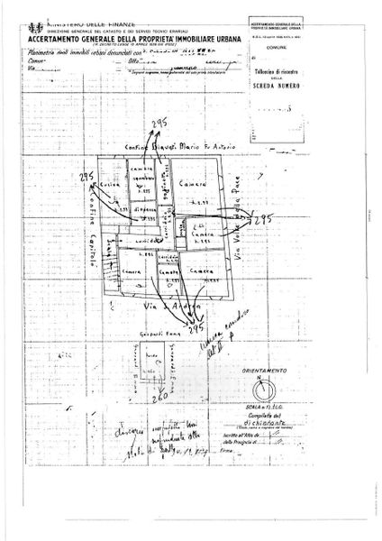
Appartamento in vendita Via Sant'Andrea , Perugia
Salva
Casa.it
1/27
  • Street View
  • Map