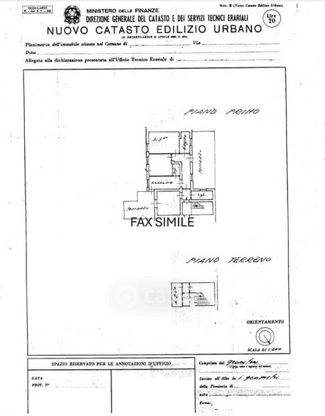
Appartamento in vendita Via Ternana , San Gemini
Salva
Casa.it
1/28
  • Street View
  • Map