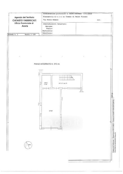
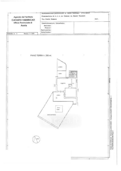
Appartamento in vendita Via Ponte Romano 208, Saint-Vincent
Salva
Casa.it
1/18
  • Street View
  • Map