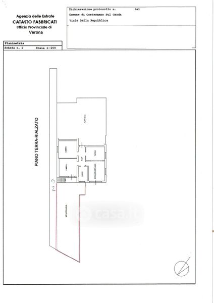
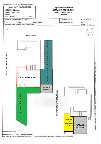
Appartamento in vendita Viale della Repubblica 7, Costermano sul Garda
Salva
Casa.it
1/37
  • Street View
  • Map