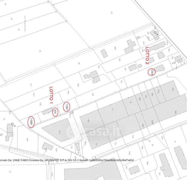
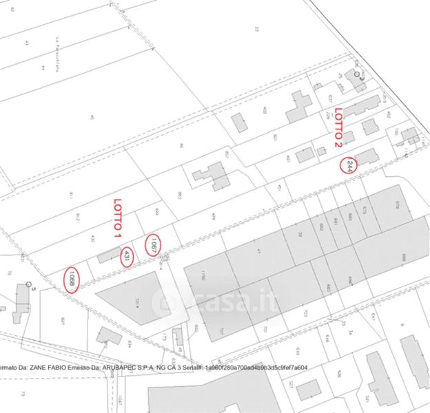
Appartamento in vendita Via Ongarie , Morgano
Salva
Casa.it
1/29
  • Street View
  • Map