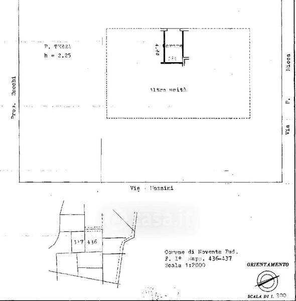
Appartamento in vendita Via G. Mazzini , Noventa Padovana
Salva
Casa.it
1/40
  • Street View
  • Map