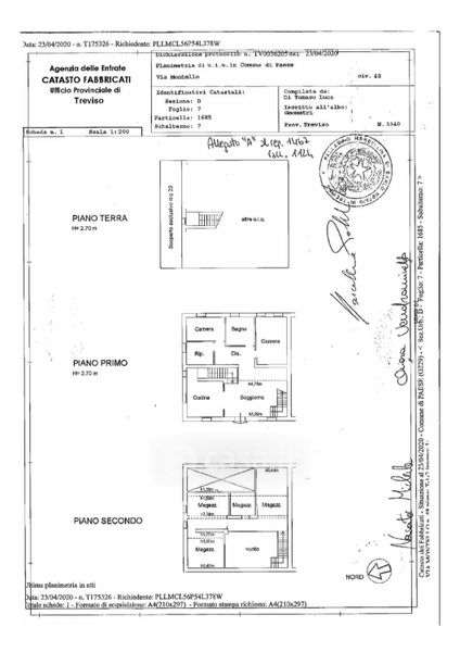
Appartamento in vendita Via Marzabotto 34, Paese
Salva
Casa.it
1/32
  • Street View
  • Map