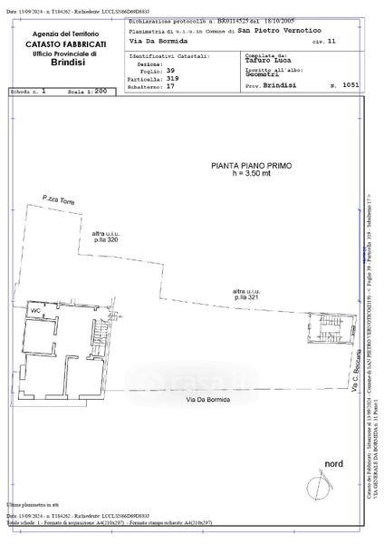
Attico/Mansarda in vendita Via Generale Dabornida 11, San Pietro Vernotico
Salva
Casa.it
1/22
  • Street View
  • Map