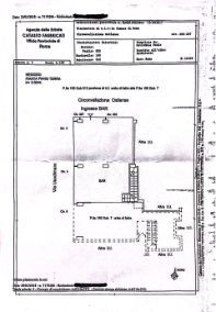
Attività/Licenza (con o senza mura) in vendita Circonvallazione Ostiense 357, Roma
Salva
Casa.it
1/22
  • Street View
  • Map