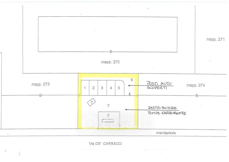
Box/posto auto in vendita Via de' Carracci 57, Bologna
Salva
Casa.it
1/3
  • Street View
  • Map