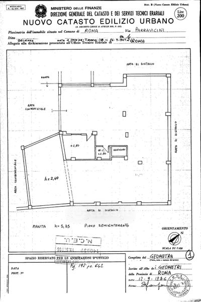
Box/posto auto in vendita Via Luigi Alessandro Parravicini , Roma
Salva
Casa.it
1/23
  • Street View
  • Map