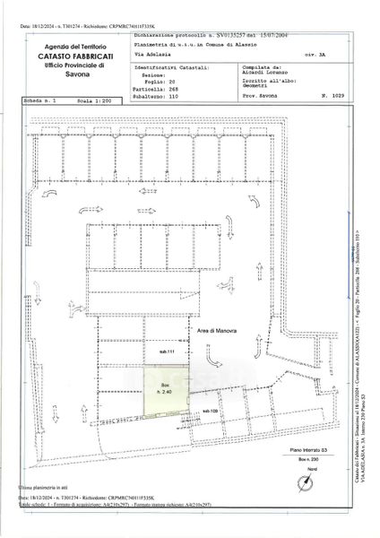
Box/posto auto in vendita Via Adelasia 3, Alassio
Salva
Casa.it
1/7
  • Street View
  • Map