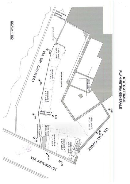
Box/posto auto in vendita Via Antonio Cei , Genova
Salva
Casa.it
1/3
  • Street View
  • Map