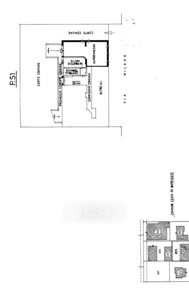
Box/posto auto in vendita Via Milano 15, Bareggio
Salva
Casa.it
1/12
  • Street View
  • Map