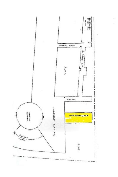
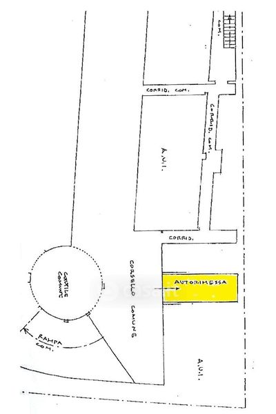
Box/posto auto in vendita Via Giacomo Quarenghi 50, Bergamo
Salva
Casa.it
1/19
  • Street View
  • Map