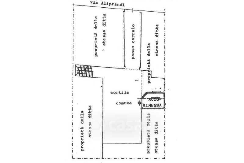
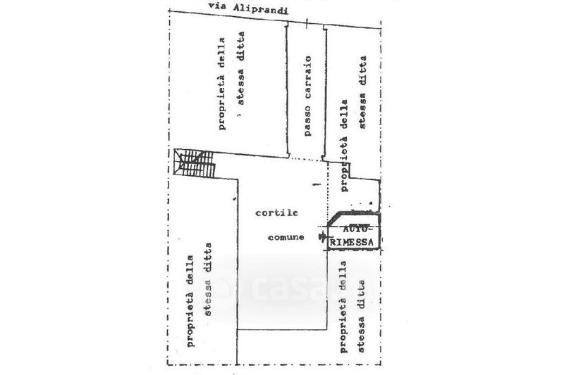
Box/posto auto in vendita Via Aliprandi 46, Lissone
Salva
Casa.it
1/17
  • Street View
  • Map