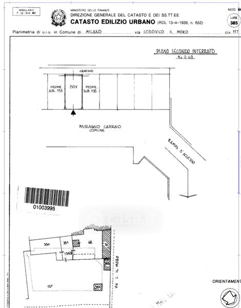
Box/posto auto in vendita Via Lodovico Il Moro , Milano
Salva
Casa.it
1/9
  • Street View
  • Map