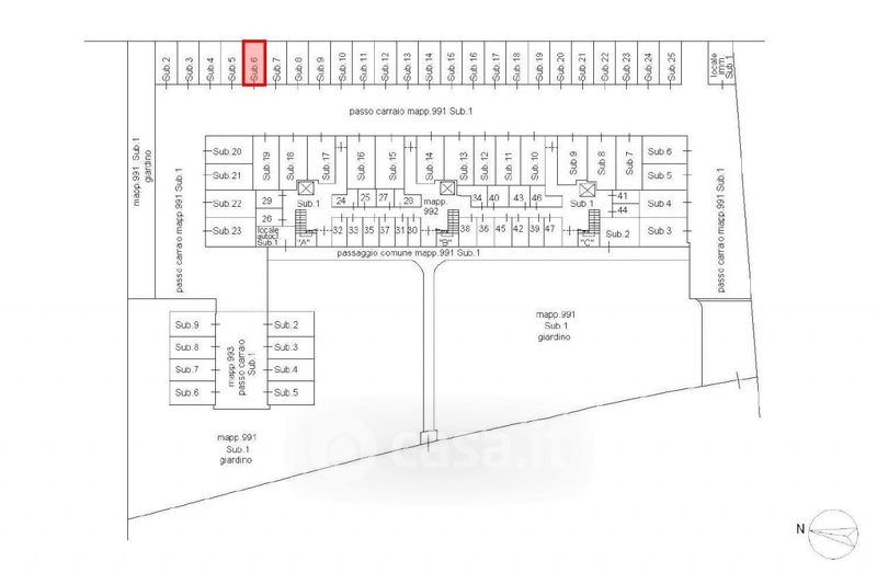
Box/posto auto in vendita Via Pertini 46 -48, Settala
Salva
Casa.it
1/15
  • Street View
  • Map