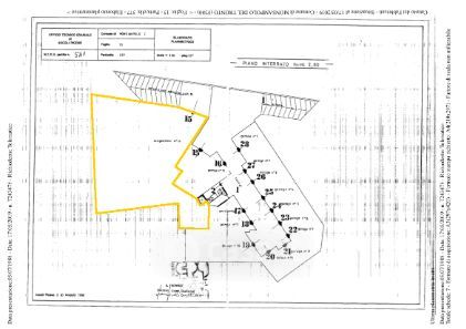
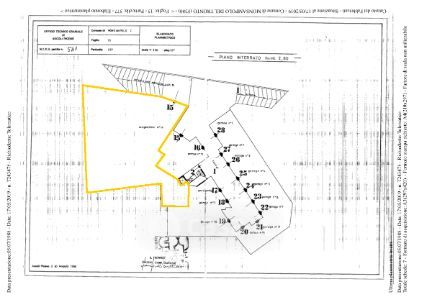
Box/posto auto in vendita Via Amerigo Vespucci , Monsampolo del Tronto
Salva
Casa.it
1/12
  • Street View
  • Map