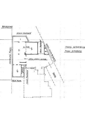
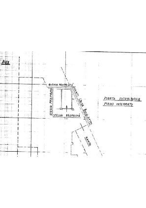
Box/posto auto in vendita Via Pastrengo 134, Moncalieri
Salva
Casa.it
1/40
  • Street View
  • Map