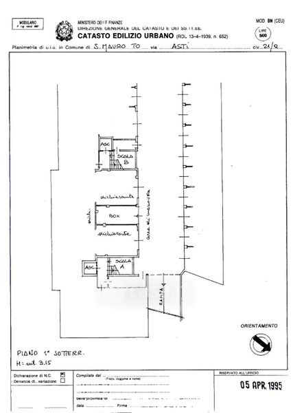
Box/posto auto in vendita Via Asti 21, San Mauro Torinese
Salva
Casa.it
1/9
  • Street View
  • Map