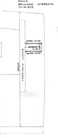
Box/posto auto in vendita Via Trieste , Padova
Salva
Casa.it
1/10
  • Street View
  • Map