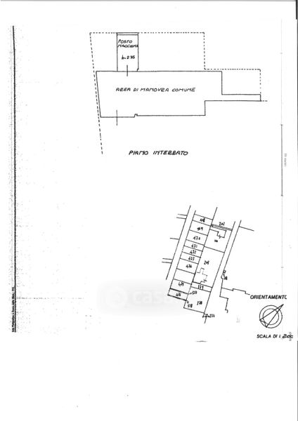
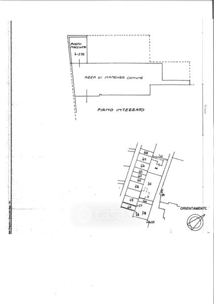
Box/posto auto in vendita Via Duomo 4A , Pescantina
Salva
Casa.it
1/9
  • Street View
  • Map