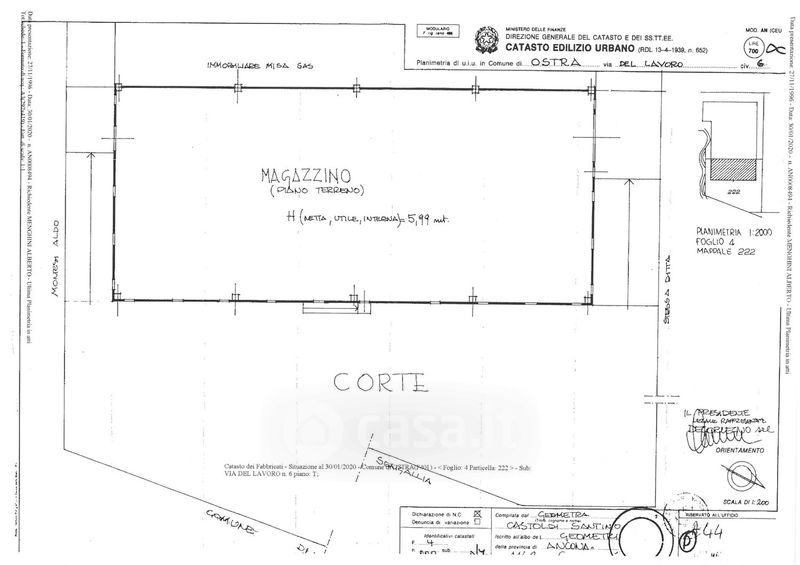
Cantina/Solaio in vendita Via Del Lavoro 6, Ostra
Salva
Casa.it
1/17
  • Street View
  • Map