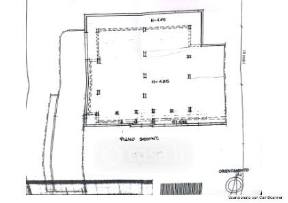
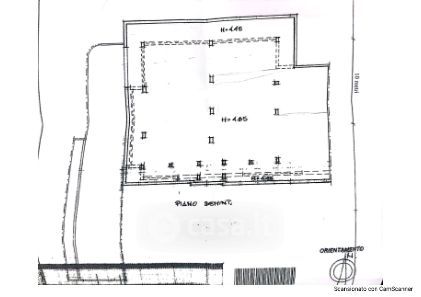
Cantina/Solaio in vendita Via de Blasi Dante 15, Lecce
Salva
Casa.it
1/28
  • Street View
  • Map