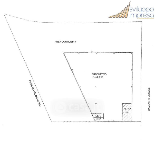
Capannone in affitto Via Vincenzo Monti 74, Desio
Salva
Casa.it
1/10
  • Street View
  • Map