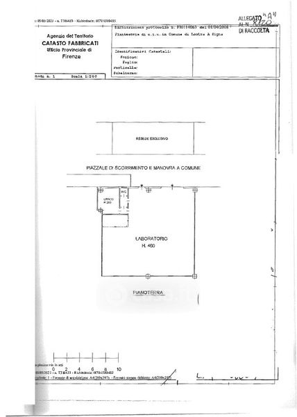
Capannone in affitto Viale Europa , Scandicci
Salva
Casa.it
1/10
  • Street View
  • Map