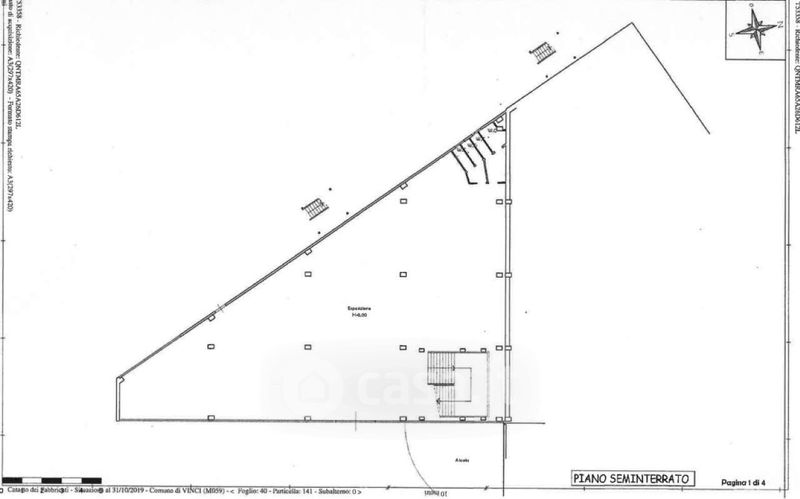
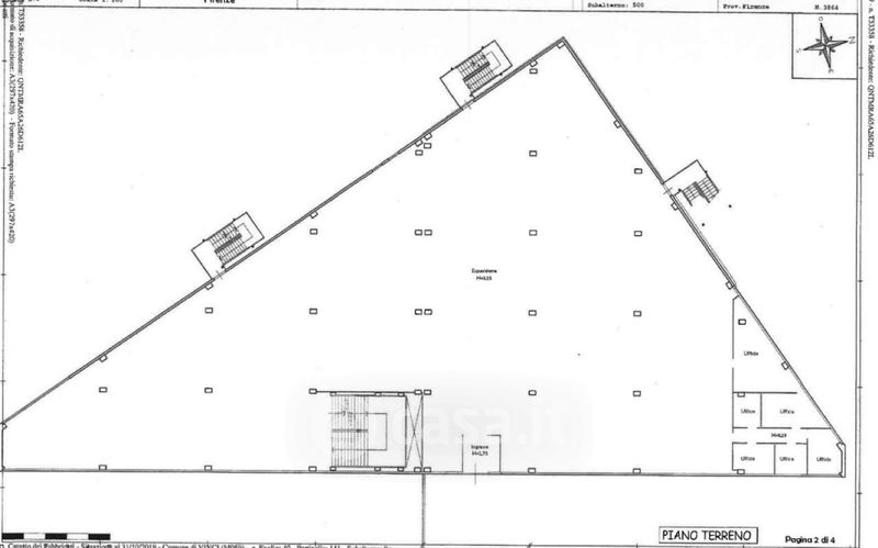
Capannone in vendita Via Pietramarina , Vinci
Salva
Casa.it
1/26
  • Street View
  • Map