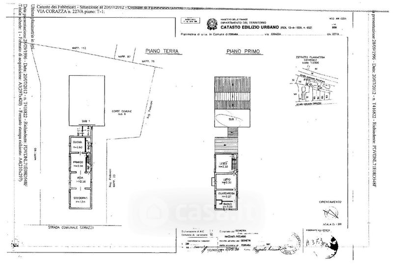
Casa indipendente in vendita Via Corazza 20, Ferrara
Salva
Casa.it
1/26
  • Street View
  • Map