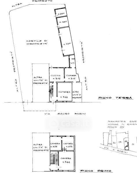
Casa indipendente in vendita Via Sauro Babini , Ravenna
Salva
Casa.it
1/21
  • Street View
  • Map