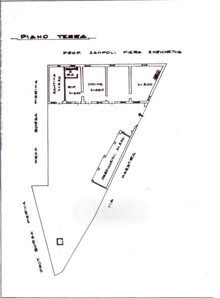
Casa indipendente in vendita Via Maestra , Cozzo
Salva
Casa.it
1/23
  • Street View
  • Map