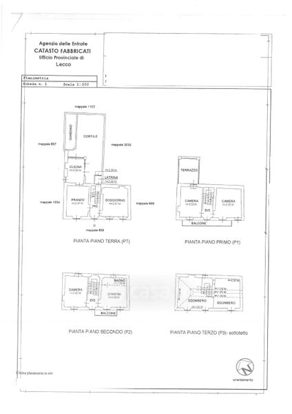
Casa indipendente in vendita Via dei Pescatori 7, Lecco
Salva
Casa.it
1/24
  • Street View
  • Map