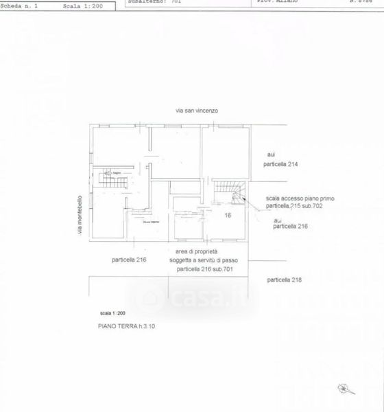
Casa indipendente in vendita Via San Vincenzo , Turbigo
Salva
Casa.it
1/11
  • Street View
  • Map