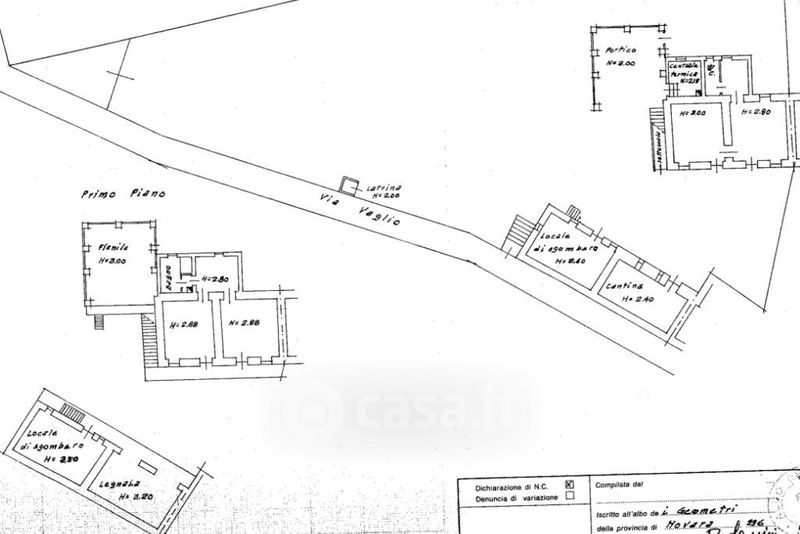
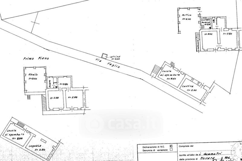
Casa indipendente in vendita Via Vaglio 16, Varallo Pombia
Salva
Casa.it
1/49
  • Street View
  • Map