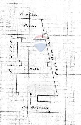
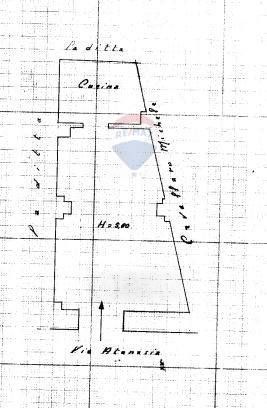
Casa indipendente in vendita Via Atanasia 40, Acireale
Salva
Casa.it
1/47
  • Street View
  • Map